物件詳細

中古マンション購入や中古住宅購入、土地購入など不動産購入をお考えなら、全国店舗ネットワークの三井住友トラスト不動産にご相談下さい。豊富な物件情報をご用意し、物件探しをお手伝いをします。

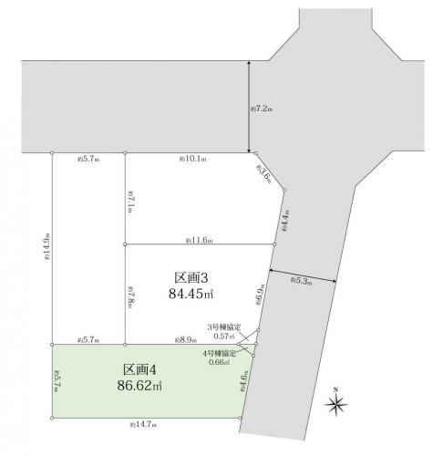
土地

杉並区下井草4丁目
価格
6,499万円
土地面積
86.62m²
  • 現地:全4区画、区画4:写真左(撮影年月:2025年12月)
  • 前面道路:東側前面道路 全4区画、区画4:写真右奥(撮影年月:2025年12月)
  • 前面道路:東側前面道路 全4区画、区画4:写真右(撮影年月:2025年12月)
  • 現地:全4区画、区画4:写真左(撮影年月:2025年12月)
  • 現地:全4区画、区画4:写真左奥(撮影年月:2025年12月)

資料がほしい・現地が見たい

物件の魅力

物件情報

更新日:2026年2月5日 次回更新予定日:2026年2月19日各項目の説明

所在地 東京都杉並区下井草4丁目 この街の情報を見る 周辺地図
交通 西武新宿線 井荻駅 徒歩10分
西武新宿線 下井草駅 徒歩13分
JR中央線 荻窪駅 バス乗車16分妙正寺池停 徒歩4分
価格 6,499万円
土地面積 86.62m2(26.2坪) 実測
土地権利 所有権 地目 登記簿:宅地
都市計画 市街化区域 用途地域 第一種低層住居専用地域
建ぺい率 50% 容積率 100%
接道状況 一方
設備・施設
設備・施設・
その他使用料金
建築条件
現況 更地 引渡し可能年月 相談
取引態様 媒介
特記事項
備考 ・協定0.66m2(別途)/設備:都市ガス、公営水道、本下水都市計画法他制限:準防火地域、第1種高度地区、最高高さ限度:10m/敷地面積の最低限度:70m2
物件番号 NF57BY019

お問い合わせ

電話でのお問い合わせ

荻窪センター

0120-963-008(通話無料)

営業時間
9:30~17:30
定休日
水曜・祝日
住所
東京都杉並区天沼3丁目3番4号 荻窪共英ビル3階
WEBでのお問い合わせ

資料がほしい・現地が見たい

物件情報を印刷

検討中リストに追加

LINEで送る

最近閲覧した物件