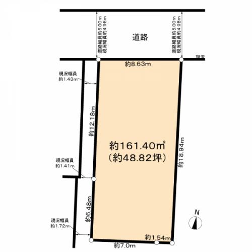
土地
三鷹市深大寺2丁目
価格
6,488万円
土地面積
161.40m²





























