土地


更新日:2026年2月5日 次回更新予定日:2026年2月19日
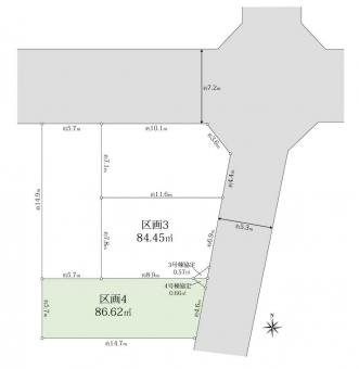
| 所在地 | 東京都杉並区下井草4丁目 | ||
|---|---|---|---|
| 交通 | 西武新宿線 井荻駅 徒歩10分 西武新宿線 下井草駅 徒歩13分 JR中央線 荻窪駅 バス乗車16分妙正寺池停 徒歩4分 |
||
| 価格 | 6,499万円 | ||
| 土地面積 | 86.62m2(26.2坪) 実測 | ||
| 土地権利 | 所有権 | 地目 | 登記簿:宅地 |
| 都市計画 | 市街化区域 | 用途地域 | 第一種低層住居専用地域 |
| 建ぺい率 | 50% | 容積率 | 100% |
| 接道状況 | 一方 | ||
| 設備・施設 | |||
| 設備・施設・ その他使用料金 |
|||
| 建築条件 | 無 | ||
| 現況 | 更地 | 引渡し可能年月 | 相談 |
| 取引態様 | 媒介 | ||
| 特記事項 | |||
| 備考 | ・協定0.66m2(別途)/設備:都市ガス、公営水道、本下水都市計画法他制限:準防火地域、第1種高度地区、最高高さ限度:10m/敷地面積の最低限度:70m2 |
||
| 物件番号 | NF57BY019 | ||