土地


更新日:2025年12月5日 次回更新予定日:2025年12月19日
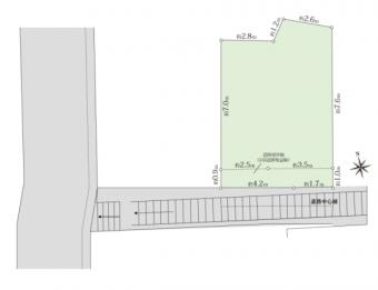
| 所在地 | 東京都港区高輪1丁目 | ||
|---|---|---|---|
| 交通 | 東京メトロ南北線 白金高輪駅 徒歩8分 都営三田線 白金高輪駅 徒歩8分 都営浅草線 高輪台駅 徒歩10分 |
||
| 価格 | 6,280万円 | ||
| 土地面積 | 51.05m2(15.4坪) 登記簿 | ||
| 土地権利 | 所有権 | 地目 | 登記簿:宅地 |
| 都市計画 | 市街化区域 | 用途地域 | 第一種住居地域 |
| 建ぺい率 | 60% | 容積率 | 160% |
| 接道状況 | 一方 | ||
| 設備・施設 | |||
| 設備・施設・ その他使用料金 |
|||
| 建築条件 | 無 | ||
| 現況 | 更地 | 引渡し可能年月 | 相談 |
| 取引態様 | 媒介 | ||
| 特記事項 | |||
| 備考 | 設備:都市ガス、公営水道、本下水セットバック面積:6.14m2/都市計画法他制限:準防火地域、第3種高度地区 |
||
| 物件番号 | NE8215033 | ||